City of Bend
Home MenuButler Market & Wells Acres Roundabout and Key Route Project
Westbound Butler Market Road is closed for Phase 1 construction from Brinson Boulevard to Eighth Street. To reduce impacts to traffic, eastbound travel will remain open for the duration construction. (See detour map.)
Periodic closures of access to side streets will be required. Please follow posted signs.
NOTE: Dates are estimates and subject to change.
This project will design and construct a new single lane roundabout at the intersection of Butler Market Road and Wells Acres Road, and pedestrian and bicycle improvements on Butler Market Road between Boyd Acres Road and Brinson Boulevard.
Project UpdatesLocationScheduleDesignMeetings & InfoBackgroundFundingRelated
Project Status
Estimated Completion
Late Fall 2026
A 2020 Transportation GO Bond Project.
Thank you, voters!
Improvements at the intersection of Butler Market and Wells Acres roads have long been a priority for the surrounding neighborhoods. The new single lane roundabout will be designed to make the intersection safer and more efficient conditions for all modes of travel.
Design and construction of a safer and more accessible bike and pedestrian route on Butler Market Road, between Boyd Acres Road and Brinson Boulevard was identified in the City of Bend Transportation System Plan and included in the voter approved 2020 Transportation GO Bond.
Project Updates
- Spring 2025 Preconstruction Video
Location
The roundabout will be constructed at the intersection of Butler Market Road and Wells Acres Road.
The key route will provide a safer and more accessible bike and pedestrian route along Butler Market Road, between Boyd Acres Road to Brinson Boulevard.
Schedule
Estimated Phase 1 Project Schedule (updated Aug 21, 2025)
- Pre-construction Community Open House - August 19, 2025
- Construction anticipated to begin - Week of September 22, 2025
- Phase 1 Completion - Late Fall 2026
Dates are estimates and subject to change.
Project Design
Public Meetings & Information
Background
Key Route on Butler Market Road Between Boyd Acres and Brinson
The City is currently designing a a safer and more accessible bike and pedestrian route along Butler Market Road, between Boyd Acres Road to Brinson Boulevard. The focus of the project is providing enhanced bike and pedestrian improvements to Butler Market Road, which provides connections to nearby parks, businesses, schools and neighborhoods for thousands of commuters.
Once complete, this project will:
- Provide safer, easier connections for pedestrians and bicyclists traveling between neighborhoods, schools, parks, and businesses in the area.
- Develop user-friendly and efficient transportation enhancements that balance the needs of adjacent businesses and residents along the routes.
- Be completed as a coordinated project with planned paving and other infrastructure improvements in the area, using public funds efficiently by completing multiple projects at once.
Preparing an alternatives analysis was the first step in this project, which identified three preliminary design concepts and recommendations on construction timing, needs and costs for the roadway.
We are committed to listening to community members and identifying the options that meet the city’s long-term needs, and through an online Open House that took place from May 9 through May 22, 2023, nearly 400 people provided feedback on three design concepts for the Butler Market corridor. From the public feedback, the City chose a design that will provide separated bike lanes and wider sidewalks along the corridor. Combined with the Butler Market and Wells Acres Roads roundabout intersection improvement, this well-traveled roadway will receive much-needed improvements for safer travel.
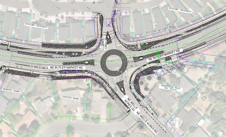
Roundabout at Butler Market Road & Wells Acres Road Intersection
This project will design and construct a single lane roundabout at the intersection of Butler Market Road and Wells Acres Road. As the area has grown over the years there has been an increasing need to better serve the surrounding community by making accessing the intersection easier and safer for all modes of travel, especially during peak periods of traffic.
The single-lane roundabout design concept* exhibit (above):
- Enhances intersection safety and functionality for all users
- Reduces intersection entry / exit speeds while enhancing mobility including emergency services
- Is consistent with current City design standards and similar to other recent designs (e.g. Butler Market Road and Purcell Boulevard roundabout)
- Minimizes impacts to private property and existing utilities
* This design concept is preliminary and subject to change.
Project Benefits
- Delivering a long-desired improvement to intersection safety and operations for the surrounding neighborhoods
- Better connection for neighborhoods, schools, parks, and businesses to the north and south that are currently divided by a busy, fast barrier to safe travel
- Improving travel time reliability along a major east-west corridor in Bend
Roundabout Design Open House - Dec. 19, 2022
Browse the information and exhibits from the open house:
- Project Fact Sheet with Frequently Asked Questions (Spanish)
- Project Exhibit
- Roundabout Design Concept Exhibit (image above)
Funding
The Butler Market bicycle and pedestrian improvements are funded by the 2020 Transportation GO Bond. The Transportation Bond Oversight Committee approved the Butler Market Road key route as a high priority project. Browse the GO Bond Dashboard to learn more about the status of more GO Bond projects.
