City of Bend
Home MenuGovernment » Departments » Community Development » Planning Division » Historic Preservation
Historic Preservation Stories
Historic preservation is a way to protect and safeguard the existence and appearance of the historical elements in Bend's historical districts.
Customer Resources:
Monday through Friday
8 a.m. - 5 p.m.
Permit Inquiries:
Monday through Friday
9 a.m. - 4 p.m.
Closed most major holidays.
Location:
710 NW Wall Street
Bend, OR 97703
Contact
The Old Town Bend and Drake Park Historic Districts are coveted areas of Bend's pastime. These districts are located in the heart of Bend, and host popular attractions for residents and tourists such as Drake Park, the Deschutes River and downtown.
Learn about the people who are saving Bend's history, one place at a time:
Preservation Stories
The Clarence and Lola McCune House at 607 NW Georgia Avenue was originally constructed in 1923.
When the owner purchased the property in 2017, he didn’t realize it was located in the Old Town Bend Historic District. He learned quickly that the detailed process takes time and effort! This home had been modified substantially and was in such disrepair that restoration was not possible. The construction of a new dwelling on the property required careful design in size, scale, and proportion to maintain the character of the Old Town Bend Historic District. Additionally, the garage at the rear of the lot was determined to be a contributing resource, and was required to be retained, creating an opportunity to retrofit.
| 1960's dwelling (substantially modified from original 1923 house). | Late 2017 or early 2018 dwelling prior to restoration. |
Completed in December of 2020, the new dwelling mimics features of the original 1923 structure, with a cross-gabled roofline, deep eaves with knee brace supports and rafter tails, wood clapboard siding, and a covered front porch with simple column structure. While the review and permit process were lengthy, the owner is satisfied with the overall product. “Preserving history adds value,” he notes of the craftsman details, like windows with divided lites. He also adds his appreciation of the organic qualities of historic neighborhoods—like the walkable streets, close destinations, and architectural charm.
| 2022 restored dwelling. |
The Spheir Building at 901 NW Bond street was originally constructed in 1917 and is one of the largest historical buildings in downtown bend.
The 7,000 square foot multi-tenant building is highlighted by a crenelated parapet, terra-cotta inserts, corbelled band, and a single-column entry at the corner of NW Wall Street and NW Minnesota Avenue. Rick Mikesell purchased the building in 2019 with previous historic preservation experience in Albany, Eugene, and other buildings in downtown Bend, including Bend Hardware and the building occupied by 900 Wall.
| 1917 building under construction. | 1950 building. |
| |
|
| 2019 building before restoration. |
Upon receiving approval from Bend’s Historic Landmarks Commission in 2019, Mikesell and his team began rehabbing the building to unmask its authentic features. Notably, the fabric awnings were removed to reveal a band of transom windows, and new flat awnings were installed in the effect reminiscent of the original building. In addition, the mill-finish aluminum storefront windows were replaced with bi-fold, bronze-colored aluminum clad wood windows, and the stark brick veneer was replaced with dark brown brick. Upon completion, the overall effect brings lively charm and character back to a significant resource in Bend’s downtown.
|
|
|
| 2021 building being restored. | |
| 2022 restored building. |
While the finished product is beautiful, the process was not without woe: namely, the cost of materials, securing labor, and discovering decay in portions of the building that Mr. Mikesell had hoped would be pristine. He emphasizes that restoring historic buildings is a complex challenge, but for him, it’s a family business, and he sees these projects as generational assets. Be sure to check out the Spheir Building on your next trip to downtown bend!
The Anton and Ethel Kulstad House at 530 NW Delaware Avenue was originally constructed in 1919.
As one might expect with a home that is approximately 100 years old, alterations to the façade had been made over the years. The most significant alteration to this house included the installation of a second door on the front porch that had replaced a large window. The dwelling, however, still retained several wonderful Craftsman details including wood one-over-one double hung windows, knee braces and barge boards from the building’s original construction when the owner purchased the property in 2019.
|
|
|
| 2019 dwelling before restoration. |
After the owner purchased the property, alteration and restoration work on the property included the removal of unused non-essential chimneys, removal of the non-original second door on the front porch, installation of a new wood window to match the one remaining wood window on the front porch, the building of a rear addition, the addition of a rear covered porch and restoration of the detached garage. With the removal of the two non-essential chimneys, the owner was able to both improve the inside floor plan and reuse the bricks on the exterior of the house which he thinks really added to the overall look, and made it really nice to have original materials in the updated house. Another thing that stands out for the owner is how difficult it was to finish the project remotely during COVID. The owner was really appreciative of having a great contractor to assist with the project especially during this difficult time.
|
|
|
| 2022 restored dwelling. |
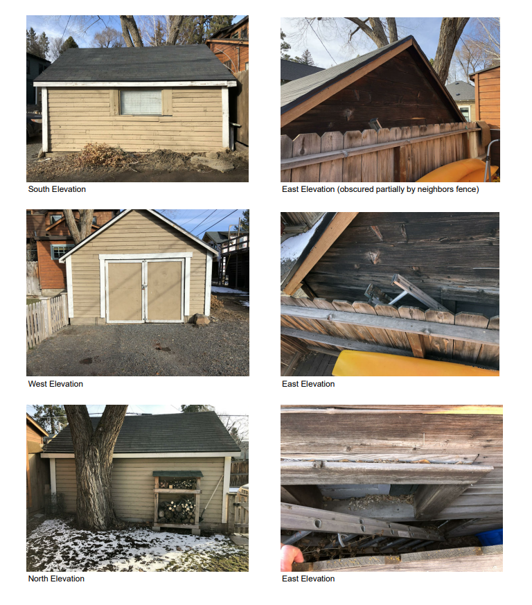
The Frank and Clara Francis House at 521 NW Florida Avenue was originally constructed in 1915 and the detached, single bay garage on the property was constructed in 1924.
The home as well as the detached garage are considered historic contributing buildings to the Old Town Historic District. There are many single bay, detached garages accessed off of alleys scattered throughout the District. Although sometimes hidden or partially hidden from the abutting streets, these detached, single bay garages add a lot of value, character and uniqueness to this District. However, as might be expected after approximately 98 years, the detached single bay garage needed some maintenance and restoration work.
| 2019 garage before restoration. |
The home had previously been restored and the owners decided the next step was to restore the detached garage. An application to restore the garage was submitted in 2019. The proposal included the request to refurbish the garage, replace aspects beyond repair and to add a man door to the north side of the garage. Some of the repair items included: fixing in place the broken window and sills, repairing the floor and footings to the garage that had been uprooted by the adjacent tree, and squaring up the structure and fixing siding where necessary.
The owners stated that a majority of the credit for doing such a thorough restoration project should go to their contractor who did an excellent job and was on top of accounting for, or re-using, garage components that met the spirit of the historic preservation program.
| |
|
| |
|
| 2022 garage restored. |
One notable highlight with this restoration project involved the collaboration of our contractor and arborist to save the adjacent elm tree. Keeping the tree was very important to the property owners as it provides a great deal of shade for the backyard while also protecting the backyard’s lawn and plants from the sun. Through creative discussion the tree was identified to be in good health and a solution was identified to allow for the tree to continue to grow for decades without impacting the footing of the garage which could lead to continual issues with the tree bucking the garage floor and causing structural issues as was the case with the old garage.
Wood Stave Discovery
In April 2021, a wood stave pipe was found during construction of the Newport Corridor Improvements project. Approximately 300 feet of pipe was found underground that conflicted with construction and was 6” and 8” in diameter. Archeological experts believe the wood pipe was built between circa 1913-1920 and discovered at the SW corner of Harmon Street and Nashville Avenue.
The wood stave pipe was identified to belong to Bend Water, Lighting, and Power Company (B.W.L.P. Co.) as part of their water line network built in the early 1900s and was no longer in use. Where possible, the wooden water line that was encountered, but not necessitating removal, was left in place. Sections of the pipe that could not be avoided by construction were removed and recorded by the Principal Archaeologist on site.
From left to right: An image of a turned-down end of eight-inch machine banded wood stave pipe; Segment of six-inch machine-banded wood stave pipe and wood coupling removed from Nashville/Harmon.
Project Background
The Newport Corridor Improvements project was a multi-phase project that replaced and improved several types of infrastructure including failing stormwater infrastructure, aging sewer and water pipes, as well as improved street safety and connectivity for all users.
Historical Context
When Bend was incorporated as a City in1904, the Bend Water, Light, and Power Company (B.W.L.P. Co.) was instrumental in the settlement of Bend providing utility infrastructure between 1905 and 1926. Bend’s first water distribution system, along with most of the West Coast, largely used milled wood stave pipes. The construction of a dam and creation of Mirror Pond in 1910 was a landmark development in the city's history. B.W.L.P. Co. provided electricity and street lighting to the community of Bend from the first power plant in operation on the Deschutes River.
B.W.L.P. Co. power dam constructed in 1910, view southeast towards downtown Bend. Photo credit: Deschutes County Historical Museum.
The B.W.L.P. Co. changed ownership in 1911 and 1912, resulting in substantial improvements to water and power systems between 1913-1914. The water system was expanded to the west side of the river, a brick power plant was constructed immediately north of the power dam, and street lighting was tripled. Construction of The Brooks-Scanlon and Shevlin-Hixon Companies sawmills from 1915-1916 required B.W.L.P. Co. to increase the size of its turbine and generator and add a switchboard at the power plant. The city grew considerably in 1917, and by 1918 Bend's population swelled to 5,000. B.W.L.P. Co.'s growth continued into the 1920s with the construction of a new power plant on Tumalo Creek and westward extensions of its water mains.
B.W.L.P. Co. brick powerhouse erected 1912-1913 at the outlet of Mirror Pond.
In 1926, the B.W.L.P. Co. was acquired by the Pacific Power and Light Company, and its water facilities transferred to municipal ownership. Water was sourced from both the Deschutes River and Tumalo Creek and located within lands ceded by the Confederated Tribes of Warm Springs during the Treaty of 1855. The waterways within the Deschutes River Basin have been inhabited since time in immemorial and continue to be important to the Tribes for subsistence and cultural traditions.
Sanborn Fire Insurance Map describing the B.W.L.P. Co. water system
The historical wood stave pipes laid by B.W.L.P. Co. continue to serve as a physical reminder of Bend's original development. Wooden stave pipes have been used for centuries across forested regions of Europe and were introduced to America by colonists. As demand for water distribution systems increased, the structure of wooden pipes evolved to larger interior diameter pipes formed from milled wood staves. In 1820, the first cast iron pipe was made in America and the performance of wood stave pipe came under scrutiny. However, the availability of wood in the Pacific Northwest made the wood pipe the local choice for cost effectiveness. The wood stave pipe was two to three times less expensive and was far superior to cast iron in acidic mining applications. Wood stave pipe remained the material of choice into the 1920s.
Want to alter your historic property?
Have questions about making alterations to your historically-designated property?
Contact the planning division for more information.
